02/12/2025 - Edición Nº356

Mundo

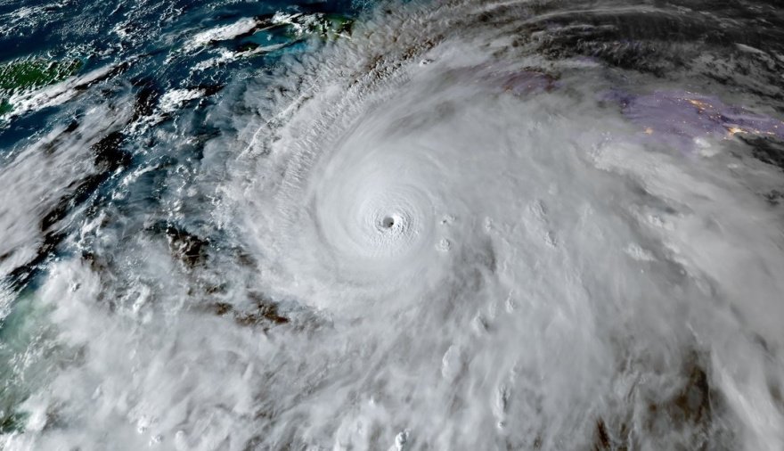
Huracán Melissa azota a Jamaica: Ya se registran víctimas y daños masivos

28/10/2025 10:31 |



El huracán Melissa ya deja su devastador rastro en Jamaica este martes. Según informó el Ministerio de Salud y Bienestar, al menos tres personas murieron en la isla en preparación para la tormenta, mientras que Haití y República Dominicana suman cuatro víctimas más.

Melissa se encuentra a 215 kilómetros al sureste de Kingston, la capital, y a 500 kilómetros al suroeste de Guantánamo, con vientos máximos sostenidos de 280 km/h, según el último informe del Centro Nacional de Huracanes (NHC) de Estados Unidos.

Actualmente, el huracán mantiene su fuerza como categoría 5 en la escala Saffir-Simpson, la máxima registrada. Aunque se esperan fluctuaciones en la intensidad, los meteorólogos advierten que el ciclón podría provocar daños estructurales totales en zonas expuestas y elevadas.

Alerta para millones de jamaicanos

La Federación Internacional de Sociedades de la Cruz Roja y de la Media Luna Roja (IFRC) advirtió que 1,5 millones de personas podrían verse afectadas solo en Jamaica. Necephor Mghendi, jefe de la delegación para el Caribe anglófono y neerlandófono, señaló que esta cifra podría ser “una estimación a la baja”.

Aunque muchas personas fueron evacuadas, la lentitud de la tormenta ha generado ansiedad y preocupación entre la población. El Ministerio de Salud y Bienestar publicó en X un mensaje claro:

“Actividades como trepar techos, asegurar sacos de arena o talar árboles pueden parecer manejables, pero incluso pequeños errores durante un huracán pueden causar lesiones graves o la muerte. Conducir por carreteras inundadas o con escombros también es extremadamente peligroso. Manténganse seguros y protejan a su familia.”

Condiciones extremas y daños en la isla

Horas antes de la tormenta, el gobierno jamaicano aseguró haber hecho todo lo posible para prepararse. Las calles de Kingston permanecieron prácticamente vacías, salvo algunos transeúntes y un perro callejero.

Los vientos huracanados ya golpean la isla, arrancando techos y provocando cortes de luz. El primer ministro Andrew Holness advirtió:

“No hay infraestructura en la región que pueda soportar un huracán de categoría 5. La pregunta ahora es la velocidad de la recuperación. Ese es el desafío”.

Damion, un vecino de Kingston, relató a la BBC: “Si sales de mi casa ahora, el viento es tan fuerte que no podrías ni ponerte de pie. Se siente como si los vientos vinieran de todas direcciones.”

Más de 52.000 clientes sufrieron cortes de electricidad, aunque el Servicio Público de Jamaica ya restableció el suministro a más de 30.000 personas afectadas. Sin embargo, el acceso a algunas zonas sigue siendo complicado debido a las fuertes lluvias y el terreno accidentado.

Perspectivas

Los meteorólogos creen que Melissa podría convertirse en el huracán más intenso que haya azotado Jamaica, con vientos de hasta 282 km/h y lluvias que superen 101 cm en algunas zonas.

El NHC elevó a Melissa a categoría 5 la madrugada del lunes, confirmando que se trata de una tormenta de fuerza extrema capaz de provocar un impacto masivo en el Caribe.

Más Noticias